新北市中和興南段都市更新案

《個案介紹》
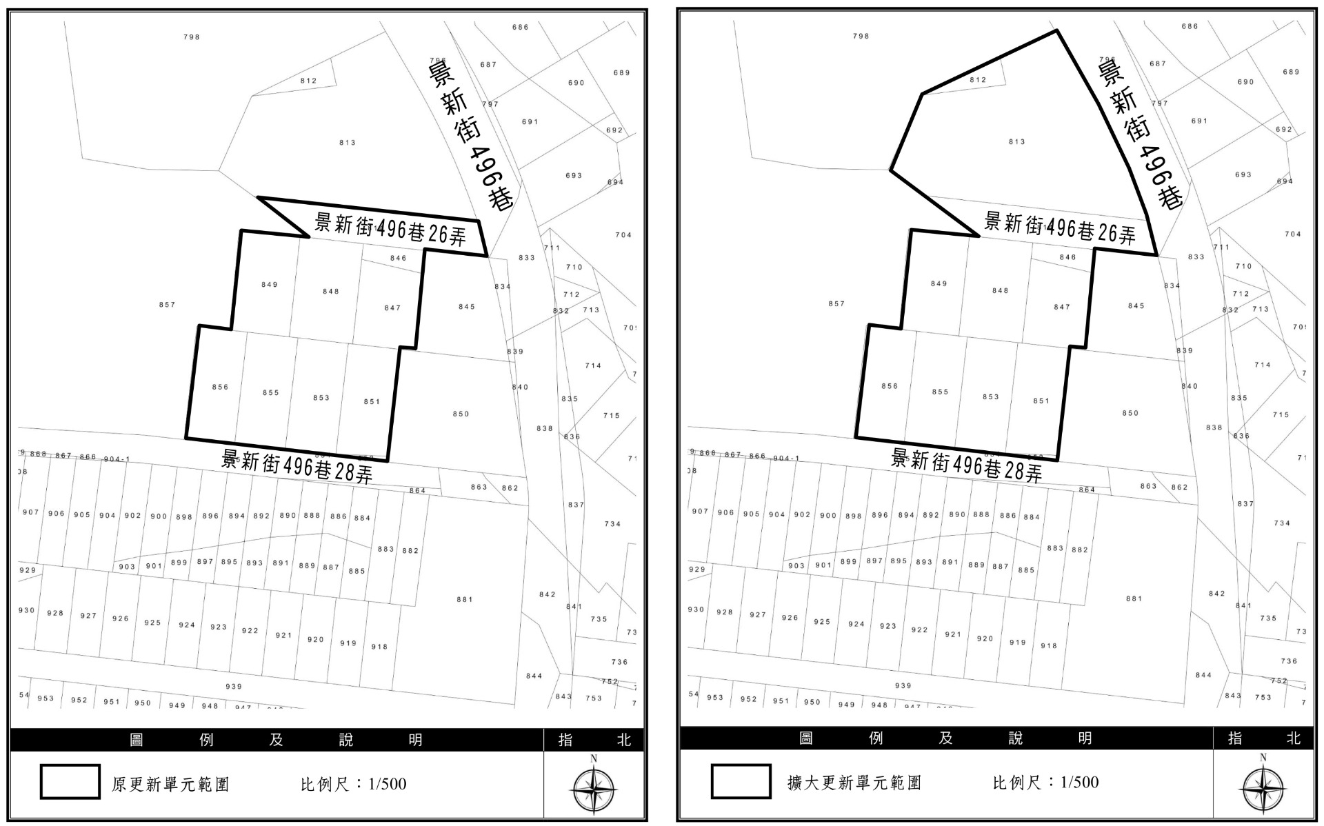
本更新單元包含中和區興南段848地號等13筆土地,面積共1,617.02平方公尺。位於新北市中和區四維街以南、景新街496巷以西、景新街496巷28弄以北及忠孝街以東所圍街廓之東側。
基地內北側為五樓鋼筋混凝土造建物,南側為二樓加強磚造建物,建物老舊窳陋,且區內巷弄狹小,有消防救災之疑慮,未來預期透過都市更新事業之推動,使居住環境及生活品質得以改善,亦可促進現況土地更有效利用,帶動地區持續發展,創造出一個各方多贏的局面。
本案(原中和區興南段814、846、847、848、849、851、852、853、854、855、856地號等11筆土地)業於民國104年11月10日舉行事業計畫自辦公聽會,104年12月14日申請事業計畫報核,經105年1月27日更新單元範圍諮詢會議,參酌委員意見進行北側(同地段812及813地號)之鄰地協調,北側鄰地大部分地主有共同參與本案更新重建之意願,故實施者擬擴大更新單元範圍,並於106年4月17日舉行說明會後,完備相關程序及計畫書圖製作,擬具擴大範圍(中和區興南段812、813、814、846、847、848、849、851、852、853、854、855、856地號等13筆土地)之都市事業計畫報請主管機關審議核定。
依據現行都市更新法令辦理變更事業計畫及擬訂權利變換計畫,故於113年12月2日召開自辦公聽會,並依據相關規定向市府申請審議。

《基本資料》
- 案名:變更新北市中和區興南段848地號等13筆土地都市更新事業計畫案及擬訂新北市中和區興南段848地號等13筆土地都市更新權利變換計畫案
- 區位:新北市中和區景新街496巷及景新街496巷26弄交叉口
- 實施者:和朔建設股份有限公司
- 更新規劃單位:邑晨都市更新股份有限公司
- 建築設計單位: 盧昱宏建築師事務所
- 不動產估價單位:巨秉不動產估價師聯合事務所
- 基地面積:1,617.02平方公尺
- 使用分區:住宅區
- 實施方式:部分協議合建、部分權利變換
- 更新獎勵:1,510.19 平方公尺(擬訂事業計畫核定版)
- 容積移轉:630.63平方公尺(擬訂事業計畫核定版)
《推動歷程》
- 事業計畫自辦公聽會(104年11月10日)
- 事業計畫報核(104年12月14日)
- 擴大範圍說明會(106年04月17日)
- 事業計畫擴大範圍(106年04月20日)
- 公開展覽(106年10月06日至106年11月04日)
- 公辦公聽會(106年10月20日)
- 第一次都更暨都設聯審專案小組(107年02月23日)
- 第二次都更暨都設聯審專案小組(108年11月19日)
- 第三次都更暨都設聯審專案小組(109年11月16日)
- 召開聽證會(110年12月08日)
- 第30次新北市都市更新及爭議處理審議會-審議通過(110年12月28日)
- 擬訂事業計畫核定公告(111年10月24日) 核定公告函
- 變更事業計畫及擬訂權利變換計畫自辦公聽會(113年12月2日) 會議通知 會議記錄
- 變更事業計畫及擬訂權利變換計畫申請報核(114年1月21日)
- 變更事業計畫及擬訂權利變換計畫公辦公聽會(114年11月3日) 會議通知 會議記錄
- 變更事業計畫及擬訂權利變換計畫第一次都更暨都設聯審專案小組(115年1月28日) 會議記錄
《全區建築量體模擬圖》

《相關資料下載連結》
1.擬訂事業計畫核定版 https://reurl.cc/yRX7kE
2.變更事業及擬訂權變自辦公聽會資料 https://reurl.cc/W0rm6Z
3.變更事業及擬訂權變公辦公聽會資料 https://reurl.cc/yOeaZ6
4.變更事業及擬訂權變計畫公開展覽版_變更事業 https://reurl.cc/O6koYy
5.變更事業及擬訂權變計畫公開展覽版_擬訂權變 https://reurl.cc/ovx3Vq
《專案聯絡窗口》丁先生 02-8521-1222
